KOLPINTIEN RISTEYSSILTA bicycle icon

TARVE: Uusi tiesilta Aluetie 749:n yli Fiskarsilla.

KUSTANNUKSET: 1 miljoona.

”Silta on tosi
surkeassa kunnossa.”

Joonas Pulkkinen
puutavara-auton kuljettaja

×

rubrik

Stödtext

×

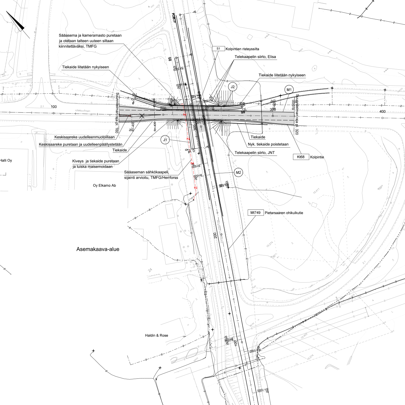
KANTATIE 68    |     KOLPINTIEN RISTEYSSILTA

TIEFAKTAT. Kantatie 68 on tärkein yhteys Pietarsaaren satamasta sisämaahan ja valtatielle 8. Liikennemäärä tieosuudella Edsevö-Pietarsaari on 7 600-8 000 kulkuneuvoa/ vuorokausi ja arkisin noin 12 prosenttia korkeampi. Raskas liikenne yltää lähes 1000 kulkuneuvoon/vuorokausi, mistä yli puolet on raskaita ajoneuvoyhdistelmiä. Kolpintien risteyssiltaa on uudistettava ja levennettävä. Silta on yksi vanhimmista säilyneistä silloista laatuaan. Se on vastaantuleville raskaan liikenteen ajoneuvoille liian kapea ja kevyelle liikenteelle vaarallinen. Sen kunnossapito on myös nykyisellään hankalaa.

TAVOITE. Liikenneturvallisuuden parantaminen ja sujuvampi liikenne sillan yli.

TOIMENPITEET. Sillan korjaaminen ja leventäminen.

AIKATAULU. Suunnitteluvaiheessa.